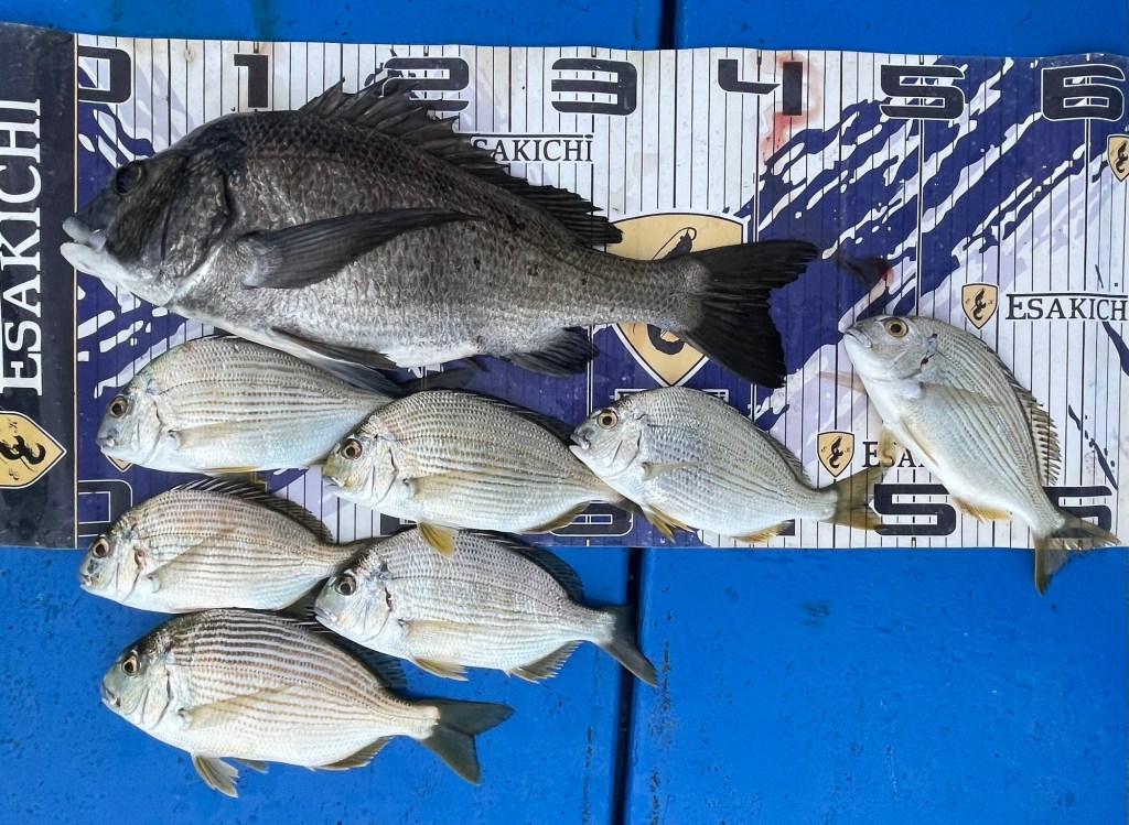
10月19日の釣果 投稿者:澤村渡船2025年10月19日カテゴリー:未分類 青山さんがチヌ44㎝、ヘダイ7匹釣れました🐟餌はサナギ、コーン。お疲れ様でした。筏7番 共有: X で共有 (新しいウィンドウで開きます) X Facebook で共有 (新しいウィンドウで開きます) Facebook いいね 読み込み中…