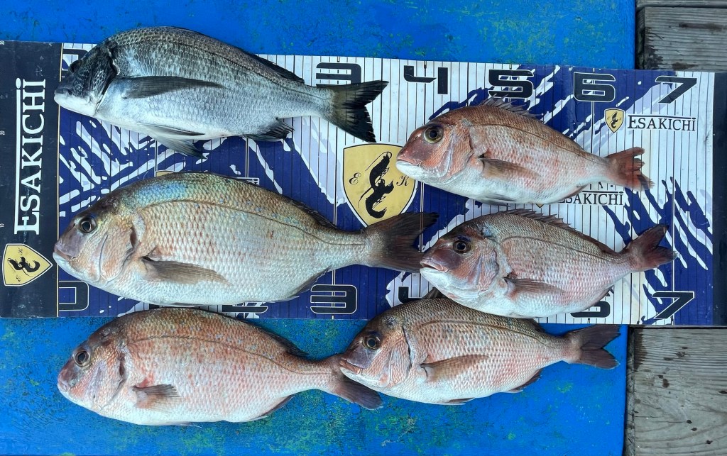
12月6日の釣果 投稿者:澤村渡船2025年12月6日カテゴリー:未分類 松宮さんが真鯛42㎝頭5匹、チヌ36㎝釣れました🐟餌はオキアミ。寒い中お疲れ様でした。筏10番 共有: X で共有 (新しいウィンドウで開きます) X Facebook で共有 (新しいウィンドウで開きます) Facebook いいね 読み込み中…